English
アクセス
診療予約
03-3378-3366
En
電話
投稿日 2025.03.21
最終更新日 2025.03.21
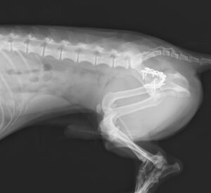
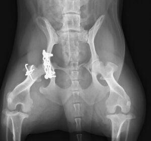
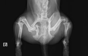
交通事故で当院夜間救急外来へ来院しました。右後肢に重度の疼痛と内出血を認め、X線検査にて複数箇所の「骨盤骨折」が見つかりました。幸い他に大きな致命傷はありませんでしたが、念の為、点滴や痛み止めを使用しながら内科治療を実施し、受傷から3日後に骨盤骨折の整復術を行いました。複雑な場所の骨折だったため、小さいプレートを駆使しながら正しい位置で固定。6週間後には元気に走り回っています。
当院は年中無休で24時間救急診療に対応しています。ご家族様と動物たちへ「常に安心」をお届けします。
日本動物医療センターグループ本院
東京都渋谷区本町6-22-3(新宿駅から2駅の幡ヶ谷駅から徒歩7分)
通常電話受付:9:00〜20:00(水曜日休診)対応:i-pet損害保険、アニコム損保、ペット&ファミリー少額短期保険。各種クレジットカード
Japan Animal Medical Center 6-22-3 Honmachi Shibuya-ku, Tokyo
(c) JAPAN ANIMAL MEDICAL CENTER All Rights Reserved.